台北小巨蛋站松山華城10區光復北路210巷43號7樓

104法拍屋,台北法拍屋,台北房子拍賣
法拍屋,法拍屋代標,法拍屋出售
台北法拍屋
台北小巨蛋站【松山華城10區】光復北路210巷43號7樓
列印
  • 售3058萬
    售2447萬
    1. 案號:114職四134金
    2. 類型:法拍大樓
    3. 總登記坪數:36.85坪
    4. 每坪單價:66.4萬/坪
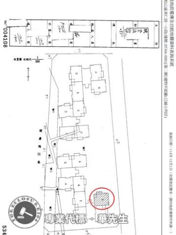
    5. 地址:台北市松山區光復北路210巷43號7樓
    1. (煩請告知聯絡人,您是在House-Info房屋網看到廣告,感恩幫忙)
    2. 0916-000-104
    1. 市話:
    2. 公司名稱:
    3. 公司地址:
    4. 個人網站:
    台北小巨蛋站松山華城10區光復北路210巷43號7樓-QR CODE 留言 檢舉 加LINE好友
物件介紹
詳細資料
最後更新
25分鐘內
銷售狀態
待標中
格局
2房,2廳,1衛
社區/大樓
松山華城10區
屋齡
24年
車位
採抽籤制
座向
朝北
所在樓層
7/13
管理費
500元/月
管委會
中庭
電梯
邊間
法拍件
本件是法拍屋
拍次
3
開標日期
115/2/4
法拍件
坪數說明
主建物坪數
18.27
附屬建物坪數
2.91
公共設施坪數
15.67
土地登記總坪數
8.13
特色描述
貸款才是決勝點,提供預審,保證核貸
千萬經理人,接任台灣不動產拍賣協會監事

◆門牌:光復北路210巷43號7樓
◆主建物:18.27坪
◆附屬:2.91坪
◆公設:15.67坪
◆土地:8.13坪
◆土地現值【第三種住宅區■114年公告現值:342271元/㎡】【第三種住宅區■114年公告現值:338000元/㎡】
◆房屋用途:RC造/集合住宅
◆房屋樓層:所在7樓/總樓層13樓
◆房屋朝向:朝北
◆管理費用:500元/月

◎房屋格局:2房/2廳/1衛(此格局為原建設規劃或內政部實價登錄,僅供參考,以現況為準!)
◎交通動線:鄰近光復北路與南京東路,距離捷運台北小巨蛋站500公尺
◎捷運站:可前往南京三民站或小巨蛋站,通勤便利
◎公車站牌:光復北路、南京東路沿線多線公車,路線選擇多
◎生活機能:附近有超商、超市、餐飲店,日常採買方便
◎鄰近學校:民生國小、介壽國中,學區選擇完整
◎公園綠地:民生公園、小巨蛋周邊綠地,臺北田徑場
◎醫療診所:周邊有三軍總醫院,醫療資源充足
◎停車說明:社區停車位採抽籤制,若不抽籤或未抽中,可每月領取回饋金新臺幣900元
【法院筆錄】●點交情形→點交●
1‧本件拍賣標的5344建號、6127建號建物鄰近台北小巨蛋捷運站商圈,現場無水、無電,似無人居住,債務人表示偶爾會來,每月管理費新臺幣500元,另系爭建物無增建、無其他足以影響交易之特殊情事;標的18-5地號位於公有龍城市場北邊的空地。標的2-1地號、18地號、18-5地號土地使用分區均為第三種住宅區。
2‧標的6127建號建物位於地下二層,現作為停車場使用,據債務人表示因停車位不夠,以抽籤決定,若不抽籤或未抽中,則可領取回饋金每月新臺幣900元,另謄本註記本建物不得加設夾層,違者無條件拆除,並負擔拆除費用;因不動產登記謄本並未記載停車位之位置與編號,故6127建號建物拍定後不點交,且共有人亦無優先承買權。
3‧本件係拍賣標的5344建號建物所有權全部,拍定後點交。6127建號建物為應有部分,拍定後不點交。《拍賣抵押物》

※無人買受時,酌減20%估算,概以執行單位公告為準
第一拍12/17底標價:3822萬
第二拍01/07底標價:3058萬
第三拍02/04底標價:2447萬

王牌經理人,十六年以上法拍經驗豐富
眼光最精準,代標多筆億元以上的案件
在地最深耕,資源豐富廣闊人脈執行力
協助自用者,找到理想實用的房屋圓夢
幫助投資人,創造物件最高投資報酬率
最專業團隊,讓您案件事半功倍又圓滿

【在地深耕,眼光精準,人脈廣闊】
■產權清楚、案件評估、排除瑕疵事故
■全程負責、快速交屋、拍後不被騷擾
■代墊利率6.3%、額度8成、手續費0.3%
■房貸利率2.65%、免排隊、立即撥款
■法拍屋代墊款、需要資金、歡迎找我

104法拍網|透明房訊|全國最大
◆規模最大◈歷史最久◆
全國七處分公司,300多位編制人員
成立於1986年,全國16家法院駐點
◆專業最強◈全國唯一◆
全國超過1800場授課專業講習
100坪倉庫,造冊拍賣遺留物
◆正派經營◈開立發票◆
營業員(99)登159091號
經紀人(96)年北市經證字01243號
一零四法拍網(股),統編28306523

能看屋的,網頁會註明。一般法拍屋查封之後無法入內參觀,可依據建物平面圖推斷室內格局是否方正,或參考樓上樓下鄰居房屋。(預約看屋留言,一律不回)
物件照片
台北松山法拍大樓-0
台北松山法拍大樓-0
台北松山法拍大樓-1
台北松山法拍大樓-1
台北松山法拍大樓-2
台北松山法拍大樓-2
台北松山法拍大樓-3
台北松山法拍大樓-3
台北松山法拍大樓-4
台北松山法拍大樓-4
台北松山法拍大樓-5
台北松山法拍大樓-5
台北松山法拍大樓-6
台北松山法拍大樓-6
台北松山法拍大樓-7
台北松山法拍大樓-7
台北松山法拍大樓-8
台北松山法拍大樓-8
台北松山法拍大樓-9
台北松山法拍大樓-9
台北松山法拍大樓-10
台北松山法拍大樓-10
贊助商廣告
台北大安區房屋,台北大安區房屋出售,台北大安區房屋資訊
新北法拍屋,新北市法拍屋,新北法院法拍屋,新北法拍屋查詢公告
物件留言
請注意,如果您詢問的內容與物件不相符合或是廣告,經過審核,系統將會直接刪除您的發問內容
等待圖示
檢舉不實
等待圖示
黃金曝光
本網站保留一切權利,非經正式書面同意,禁止轉貼節錄。